No.0435
  1. Home
  2. flower
  3. 花30
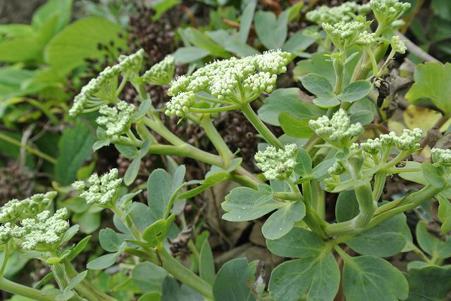
ボタンボウフウ
撮 影 日:  2013.07.06 撮影場所:  千葉県 いすみ市大原
撮影機材:  Nikon1 J2+VR 10-30mm f/3.5-5.6
ボタンボウフウ(牡丹防風) セリ科
 多年草。花期6〜9月。海岸の砂地に生えていた。高さは60〜100p。<2013.07.27記録>